
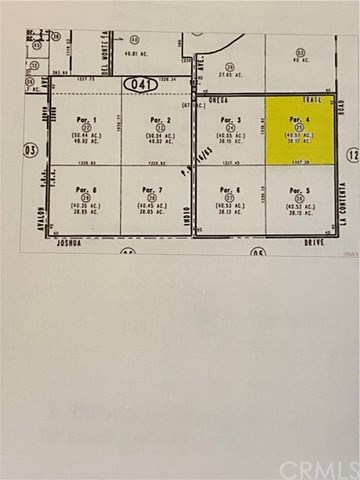
Welcome to your Covington Flats oasis, where serenity meets breathtaking natural beauty. This remarkable property spans over 37 acres, providing you with an expansive landscape and unparalleled 360-degree views of the mesmerizing desert in Yucca Valley. The seller is highly motivated to sell, so don't hesitate to submit your offers and seize this incredible opportunity. Immerse yourself in the full splendor of the living desert, as this vast property is enveloped by the untouched wonders of nature. Here, you'll find a harmonious ecosystem that embraces and nurtures the diverse flora and fauna that call this area home. With no city lights to obstruct your view, you can gaze at the enchanting night sky, adorned with a blanket of falling stars, creating a magical spectacle. Despite the secluded ambiance, you'll still enjoy the convenience of being just minutes away from Yucca Valley, Joshua Tree Park, Palm Springs, and the nearby military base. This location strikes the perfect balance between tranquility and accessibility, allowing you to enjoy the seclusion of your oasis while being within reach of modern amenities and entertainment. Moreover, the property benefits from the presence of electrical lines conveniently located across the street. This infrastructure facilitates a smooth transition should you decide to build your dream home or establish any other desired facilities. Don't miss out on this extraordinary opportunity to own over 37 acres of unspoiled desert paradise. Whether you seek a private retreat, an investment opportunity, or a blank canvas to unleash your creativity, Covington Flats offers it all. Submit your offers now and make this unparalleled desert oasis your very own.
The multiple listing data appearing on this website, or contained in reports produced therefrom, is owned and copyrighted by California Regional Multiple Listing Service, Inc. ("CRMLS") and is protected by all applicable copyright laws. Information provided is for viewer's personal, non-commercial use and may not be used for any purpose other than to identify prospective properties the viewer may be interested in purchasing. All listing data, including but not limited to square footage and lot size is believed to be accurate, but the listing Agent, listing Broker and CRMLS and its affiliates do not warrant or guarantee such accuracy. The viewer should independently verify the listed data prior to making any decisions based on such information by personal inspection and/or contacting a real estate professional.
Based on information from California Regional Multiple Listing Service, Inc. as of the most recent time synced and /or other sources. All data, including all measurements and calculations of area, is obtained from various sources and has not been, and will not be, verified by broker or MLS. All information should be independently reviewed and verified for accuracy. Properties may or may not be listed by the office/agent presenting the information
Last Updated: . Source: CRMLS
Provided By
Listing Agent: Chris Ann Kallgren (#DC51239)
Listing Office: Coldwell Banker Roadrunner (#DC5260)
Provided By (Buyer)
Buyer's Agent: Wendy Jordan (#JT51606)
